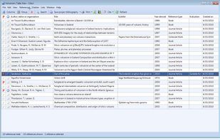
Cost / License
- Free
- Proprietary
Application types
Platforms
- Windows
- Windows Mobile
- Android
- HUAWEI AppGallery




Elumity is described as 'Powerful academic tool for managing and sharing knowledge, combining research, reference management, and collaboration in one platform' and is a research manager in the education & reference category. There are more than 50 alternatives to Elumity, not only websites but also apps for a variety of platforms, including Mac, Windows, Linux and iPhone apps. The best Elumity alternative is Zotero, which is both free and Open Source. Other great sites and apps similar to Elumity are Mendeley, Qiqqa, JabRef and BibSonomy.




A new FREE citation generator. Automatically create bibliographies, references, and citations in APA, MLA, Chicago, Harvard, and over 8000 more styles with a totally free and no-ads citation generator.

is a social networking website for academics. The platform can be used to share papers, monitor their impact, and follow the research in a particular field. It was launched in September08, with 31 million registered and over 8 million uploaded texts.

Reference management and knowledge organization with integrated task planner. Solution for work groups with data sharing in intranet available.




Consensus is a search engine that uses AI to instantly extract, aggregate, and distill findings directly from scientific research.
Search the largest scientific corpus in the world Discover and study research papers better with SciSpace copilot.


Discover the world of Scientific Literature - LITERATURE REVIEW SOFTWARE FOR FASTER RESEARCH AND DISCOVERY



Curasynth is an AI-powered research platform designed to streamline and automate various aspects of academic and clinical research, from writing and data analysis to protocol generation. It provides an all-in-one platform for researchers to increase efficiency and reduce the...

ZoteroBib is a free service to help people quickly create bibliographies without installing any software or creating an account.


scrible lets you highlight and annotate web pages and easily save, share and collaborate on your web research with others.




Automatic works cited and bibliography formatting for MLA, APA and Chicago/Turabian citation styles. Now supports 7th edition of MLA.


This Chrome Extension is a productivity highlighter for websites and PDFs, allowing easy organization and access to highlighted research, notes, and bookmarks.



